Objektdaten
Grundstück
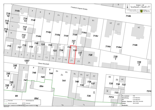
Obere Neustadt 21
08451 Crimmitschau
Kaufpreis (EUR):
Der Verkauf erfolgt freibleibend zum höchsten Gebot.
Mindestgebot auf Anfrage
Lage / Umfeld:
Die zum Verkauf stehende Liegenschaft befindet sich in der Stadt Crimmitschau (ca. 18.000 Einwohner) im Landkreis Zwickau mit umliegender wohnbaulicher Nutzung. Die nächstgelegene größere Stadt ist Chemnitz (ca. 45 km). Die B93 ist ca. 7,5 km entfernt. Die Autobahnzufahrt auf die A4 ca. 8 km entfernt, der Bahnhof Crimmitschau ca. 300 m. Das Objekt liegt nahe dem Stadtzentrum (ca. 500m). In unmittelbarer Nähe befinden sich Geschäfte des täglichen Bedarfs, Schulen und Ärzte.
Objektbeschreibung:
Das Grundstück ist mit einem alten unsanierten Reihenmittelhaus bebaut, welches seit ca. 3 Jahren leer steht. Es verfügt über einen Teilkeller, EG, OG, DG und Spitzboden. Es wurde um einen Anbau rückseitig erweitert. Der baufällige Anbau und auch der hintere Grundstücksbereich konnten nicht begangen werden. Das unberäumte Wohnhaus befindet sich in einem baulich schlechten Zustand. Teils sind Nässeschäden im Gebäude und Dachstuhl und teils an den Decken erkennbar, Putzschäden sind innen und außen vorhanden.
Der Gaszähler wurde demontiert. Strom- und Wasserzähler sind vorhanden. Ein Abwasseranschluss (Kanalanschluss) ist vorhanden. Weitere Medienanschlüsse sind bei den Versorgern zu erfragen.
Parkmöglichkeiten sind an der Straße vorhanden.
Flurstücksnummer:
726
Gemarkung(en):
Crimmitschau
Grundstücksgröße (in m²):
200
vorhandene Bebauung:
Wohnhaus mit Anbau und Schuppen
zulässige Bebauung:
Für den Bereich des Bewertungsobjektes ist kein rechtskräftiger
Bebauungsplan vorhanden. Die Zulässigkeit von Vorhaben ist
demzufolge nach § 34 BauGB zu beurteilen.
Wasser:
ja
Abwasser:
ja
Elektrizität:
ja
Gas:
ja
Baujahr der/des Gebäude(s):
1888
Wohnfläche (in m²):
130
Heizung:
Gas
Info Energieausweis:
liegt nicht vor - wird erstellt, ggf. Ausnahmetatbestand GEG
Altlasten:
nicht bekannt
Bemerkungen / Hinweise:
Eine Gewähr für die vom Interessenten angestrebte Nutzung sowie für im Exposé enthaltene Angaben werden von den Eigentümern nicht übernommen. Bei bestehendem Interesse wird um Abgabe eines konkret bezifferten und belastbaren Kaufgebotes gebeten. Die Liegenschaft befindet sich teilweise im überschwemmungsgefährdeten Gebiet der Pleiße.
Eigentümer:
Freistaat Sachsen - Alleineigentum
Nutzungsverhältnisse:
ungenutzt
Einnahmen p.a.:
keine
Lasten / Beschränkungen:
keine in Abt. II des Grundbuchs
Grundpfandrechte:
lastenfreie Veräußerung wird angestrebt





